News Reader

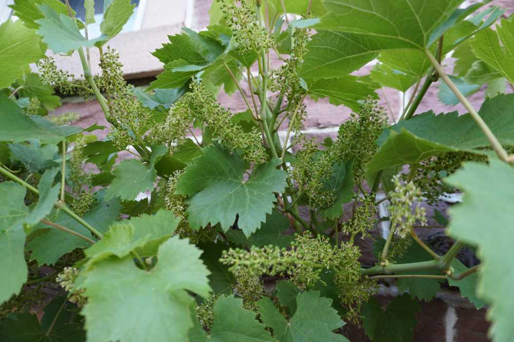
Traubenblüte an der Hauswand

von Hubert Weber Redakteur

So hat sie noch nie geblüht!

Das gibt bestimmt wieder viel Saft(Wein) und Traubengelee.

Freu mich jetzt schon drauf!